JetPro від TavTech - це електропневматичний пристрій, який створює високошвидкісний двофазний струмінь, спрямований на шкіру через спеціально розроблений і захищений патентом наконечник.
Застосування Jet Peel
- Зморшки: вертикальні, дрібні, глибокі, мімічні;
- Атонічна шкіра;
- Набряки обличчя та периорбітальної зони;
- Гіперкератоз шкіри та волосистої частини голови;
- Себорея волосистої частини голови;
- Випадання волосся;
- Лупа;
- Псоріатичні бляшки;
- Очищення шкіри / насичення киснем і детоксикація;
- Покращення мікроциркуляції і лімфатичної системи;
- Ліфтінг шкіри, Розгладження шкіри, Лікування зморшок, Омолодження шкіри;
- Лікування гіперпігментації (Пігментні плями, Темні / коричневі плями);
- Великі пори;
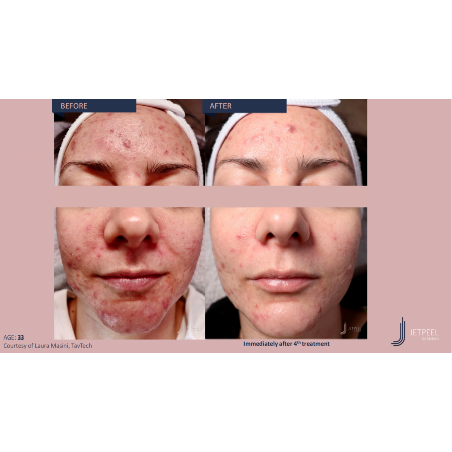
- АКНЕ та забруднена шкіра;
- Мішки під очима;
- Зменшення рубців;
- Звільнення від розтяжок;
- Очищення та зволоження шкіри;
- Жирна шкіра;
- Чорні точки;
- Поліпшення кольору обличчя;
- Чутлива і куперозна шкіра.
Переваги Jet Peel
- Доставляє активні компоненти сироваток в глибокі шари шкіри без пошкодження цілісності тканини. Завдяки цьому апарат JetPeel є ефективним інструментом отримання прибутку.
- Високий рівень ефективності, що дозволяє працювати на епідермісі.
- Можливість виконати більшість косметологічних маніпуляцій.
- 3D "омолодження" - 3-х мірний масаж мʼяких тканин обличчя та тіла.
- Доглядова, безболісна та приємна процедура.
- Миттєвий ефект без травматичного впливу.
- Абсолютна безпека. JetPeel™* підходить для будь-якого типу шкіри та пори року.
- Насадки для приладу JetPeel, які мають бути лише оригінальними. Вони забезпечують необхідну потужність струменя, завдяки чому досягається чудова ефективність процедур.
Принцип дії Jet Peel
В основі принципу дії Jet Peel лежить реактивний рух, що використовується в двигунах ракет та літаків. За допомогою спеціальної насадки стислий газ (повітря, вуглекислий газ або медичний кисень) розсіюється з високою швидкістю (до 300 м/с). При цьому шкіра дбайливо та м'яко очищається безконтактним способом. Охолоджений газ дозволяє підвищити больовий поріг, а больові рецептори «закриває» тиск струменя. Під час проведення процедури пацієнт не має неприємних відчуттів, тому проводити попередню анестезію не потрібно.
- Стиснене повітря виробляється при тиску 95 psi на квадратний дюйм (6,5 бар)
- Високий тиск і висока швидкість (до 300 м/с) реактивний струмінь розпилює суміш мікрокрапельок і унікальних розчинів на шкіру за допомогою унікального запатентованого наконечника. Струменева подача забезпечує видалення рогового шару і вливання активних інгредієнтів в дерму без використання голок.
- Увігнута область, що розтягує шкіру, відкриває трансепідермальні мікроканали, дозволяючи збагаченої рідини проникати глибше і доставляти поживні речовини та лікувальні розчини.

Система доставки трансепідермальних інфузій
Використання технології реактивного руху для безголкової, безболісної, неінвазивної, неабляційної, трансепідермальної доставки.
Тиск струменя і ефект кавітації.
Розтягування шкіри, відкриття мікроканалів, інфузія

Асортимент унікальних і запатентованих наконечників. Високошвидкісний струмінь для інфузії без голок
Важливим фактором, що сприяє високим результатами JetPeel від TavTech, є запатентований наконечник, доступний в декількох моделях.
Magic
Конструкція з однією насадкою, яка ідеально підходить для вузьких зон, таких як різні частини обличчя, мезотерапії та процедур проти зморшок.
Triple
Потрійний наконечник - це версія дизайну одинарного наконечника з трьома насадками, що підходить для трансдермальної мезотерапії та ідеально підходить для більшості струменевих розчинів і процедур.
Double
Подвійний наконечник має подвійну конструкцію насадки, підходить для трансдермального лікування волосся та шкіри голови.
Prestige plus
Наконечник Prestige Plus оснащений розʼємом Luer-lock, підходить для будь-якого стандартного шприца, має вбудований повітряний екран і призначений для стерильного одноразового застосування.
Single
Одинарний наконечник має більшу конструкцію з однією насадкою, ідеально підходить для мезотерапії та застосування розчинів з підвищеною вʼязкістю.
Спеціальні наконечники
Наконечник Prestige plus
- Процедури мезотерапії
- Шприц із замком Люера
- Повітряний щит

Вакуумний наконечник
- Жирна шкіра
- Вугровий висип
- Комедони

Jetpeel Ukraine
Параметри апарату
Типи насадок
JP1-N01 - 3 сопла
JP1-N23 - 1 сопло
JP1-N05- 1 сопло (міні)
Джерело рідини - Фізрозчин із окремої ємності (флакон або пластиковий мішок).
Тип газу та джерело - Повітря - нагнітається компресором.
Використовуваний тиск (на початку дистанції) - до 6.8 атм или 100 psi.
Робочий тиск— 6,5 бар
Розміри— 95x54x46 см
Вага — 34 кг










































